Если цена в объявлении изменится, мы сразу сообщим вам об этом на электронную почту.
Нажимая «Подписаться», вы соглашаетесь с правилами.
продам отдельностоящее здание, Константина Заслонова, 617 000 000 ₽
23 фев 2025
Дата публикации объявления
Обн. вчера
Дата обновления объявления
5
Количество просмотров (+ просмотры за сегодня)
20 135 ₽/м²
Параметры
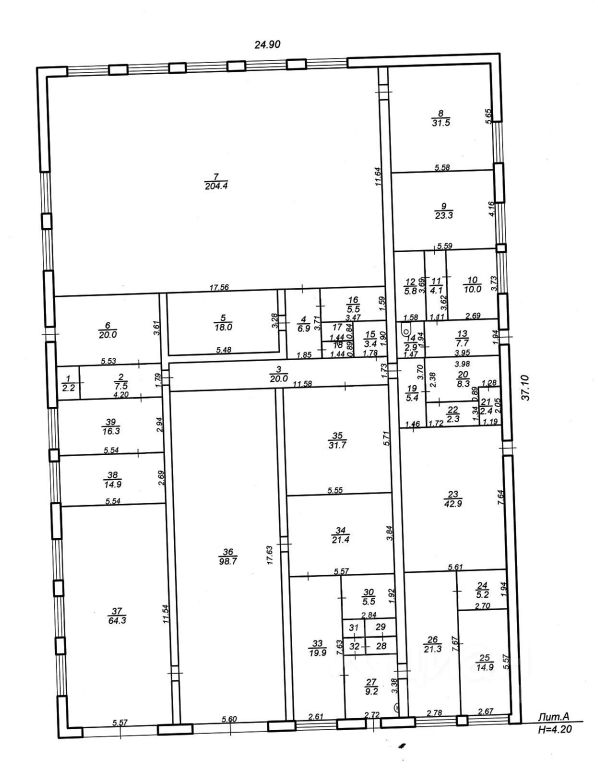
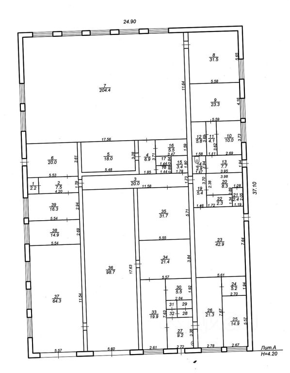
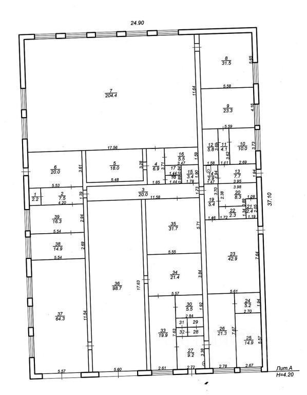
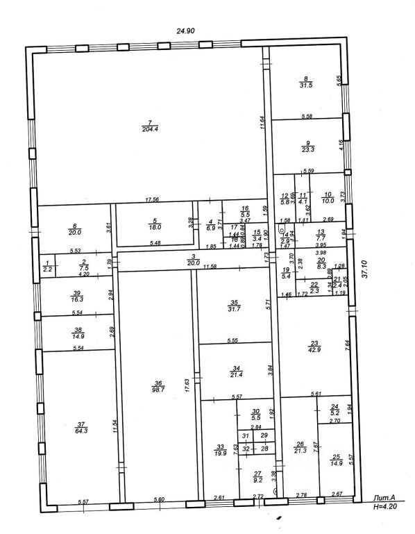
Общая площадь844,3 м2
Этаж1
Продаются нежилые здания общей площадью 844,3 кв.м., расположенные на земельном участке площадью 8975 кв.м.
1) Земельный участок в собственности, площадью 8 975,0 кв.м., кад. 69:45:0080313:20.
2) Здание техническое - площадью 765,2 кв.м., кад. 69:45:0080233:36 Площадь объекта (общая) - 765.20 Год постройки - 1974 Этажность - 1 Высота этажа, м - 3.9 Фундамент - бутобетонный Стены - кирпичные Кровля совмещенная Коммуникации электричество, отопление, водоснабжение, канализация
3) Склад ГСМ с электроосвещением площадью 20,1 кв.м., кад. 69:45:0080233:35 Площадь объекта (общая) - 20.10 Год постройки - 1974 Этажность - 1 Высота этажа, м - 2.
Продаются нежилые здания общей площадью 844,3 кв.м., расположенные на земельном участке площадью 8975 кв.м.
1) Земельный участок в собственности, площадью 8 975,0 кв.м., кад. 69:45:0080313:20.
2) Здание техническое - площадью 765,2 кв.м., кад. 69:45:0080233:36 Площадь объекта (общая) - 765.20 Год постройки - 1974 Этажность - 1 Высота этажа, м - 3.9 Фундамент - бутобетонный Стены - кирпичные Кровля совмещенная Коммуникации электричество, отопление, водоснабжение, канализация
3) Склад ГСМ с электроосвещением площадью 20,1 кв.м., кад. 69:45:0080233:35 Площадь объекта (общая) - 20.10 Год постройки - 1974 Этажность - 1 Высота этажа, м - 2.38 Фундамент бутовый ленточный Стены - кирпичные Кровля совмещенная Коммуникации электричество
4) Навес для хранения кабеля площадью 59,0 кв.м., кад. 69:45:0080233:37 Площадь объекта (общая) - 59.00 Год постройки - 1974 Этажность - 1 Высота этажа, м - 3.46 Фундамент - бутовый Стены - кирпичные Кровля железная Коммуникации электричество
5) Наружные сети водопровода протяженностью 85 м, кад.69:45:0080313:378
6) Кирпичный резервуар для воды объем 21 куб.м., кад. 69:45:0080313:384
! Объекты готовятся к продаже. Указанная стоимость является предварительной. После завершения необходимых административных процедур стоимость может быть уточнена.
По всем вопросам связывайтесь с указанным контактным лицом.
Продажа от прямого собственника - ПАО ''Ростелеком''.